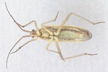
Leptopterna ferrugata (A Plant Bug)
Presence
Present in Idaho: Yes
Native to Idaho: Yes
Endemic: No
Regularity: Regularly occurring
Taxonomy
Kingdom: Animalia
Phylum: Arthropoda
Class: Insecta
Order: Collembola
Family: Entomobryidae
Species: Leptopterna ferrugata
Taxonomy Level: Species
See child taxonomy for this taxa
A Plant Bug
Leptopterna ferrugata
Looking for data? You can request data on our data request page








